歡迎來到上海裝潢網
與裝修公司協(xié)商解決
行業(yè)協(xié)會老師熱心幫助,做事認真負責,專業(yè)服務,本人非常滿意。

投訴詳情
8.15晚上對方交付的工程報價單1
8.15晚上對方交付的工程報價單2
施工合同4
施工合同3
施工合同2
8.14日下午對方現場交付的材料清單2
8.6日對方微信上提供的電工材料清單
施工合同10
8.14日下午對方現場交付的材料清單1
施工合同8
施工合同9
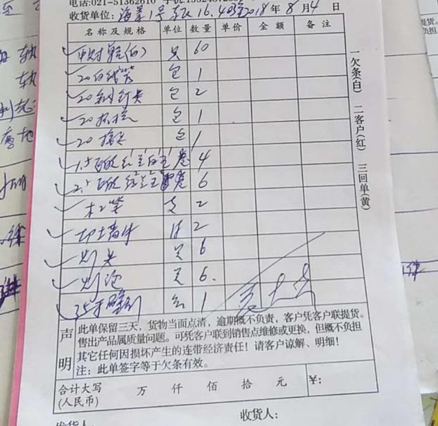
8.14日對方提供的材料收據1
8.14日對方提供材料收據2
施工合同5
8.14日晚對方現場交付的材料清單3
8.14日對方提供的材料收據3
施工合同6
施工合同1
施工合同7
8.5日對方現場寫的,但隨后一直不肯提供,經多次追討后,8.11日拍的部分截圖,隱藏了數量和價格
8.5日對方現場寫的,但隨后一直不肯提供,經多次追討后,8.11日拍的部分截圖,隱藏了數量和價格2
相關評論(0)
寫評論處理進展
處理階段
變更時間
上海地區(qū)的投訴
更多季度統(tǒng)計
更多>>年度統(tǒng)計
更多>>